釣れないほうが多いような釣りの話と
小さな家庭菜園のことを中心に
色々なことを紹介していきます
×
[PR]上記の広告は3ヶ月以上新規記事投稿のないブログに表示されています。新しい記事を書く事で広告が消えます。
昨日は、フジモン、石川の健ちゃん、私の3人で夜釣りから始めるため午前1時の出船で
深島へと向かいます。
まず、石川の健ちゃんが一人でアシナカに上がり、私とフジモンは横バエに上がりました。
先に準備のできたフジモンが真ん中あたりから遠投で釣り始め、私は遅れて左側の
裏で出来れば尾長を狙います。
夜釣りは二人して撃沈でした、早々と諦めたフジモンはお休みタイムです、でも暗いうちは
寒かったので眠れなかったのでは?
夜が明ければイサキや小型のクロが釣れだし、さあこれからという時に大量のごみが
目の前に流れ着き暫しの休憩です、夜よく眠れなかったフジモンはまたもやお休みタイムです。
私も眠かったので寝ようと思いますが、日が昇ってからは今度は暑くて寝ていられません。
ゴミはどこかに行ったり来たりで、ゴミのないときに30cm~35cmのクロが食ってきます。
潮が良くなったときは大型と思われるクロが当たってきますが、ことごとく目の前の張り出し根
に逃げられ、かれこれ10回以上は同じ場所でやられています、高切れも1回あり大事なウキを
ロストしてしまいます。
あまりの暑さにタオルを被って釣りをしています、この後この掛かった魚も同じ場所でばらしでした。
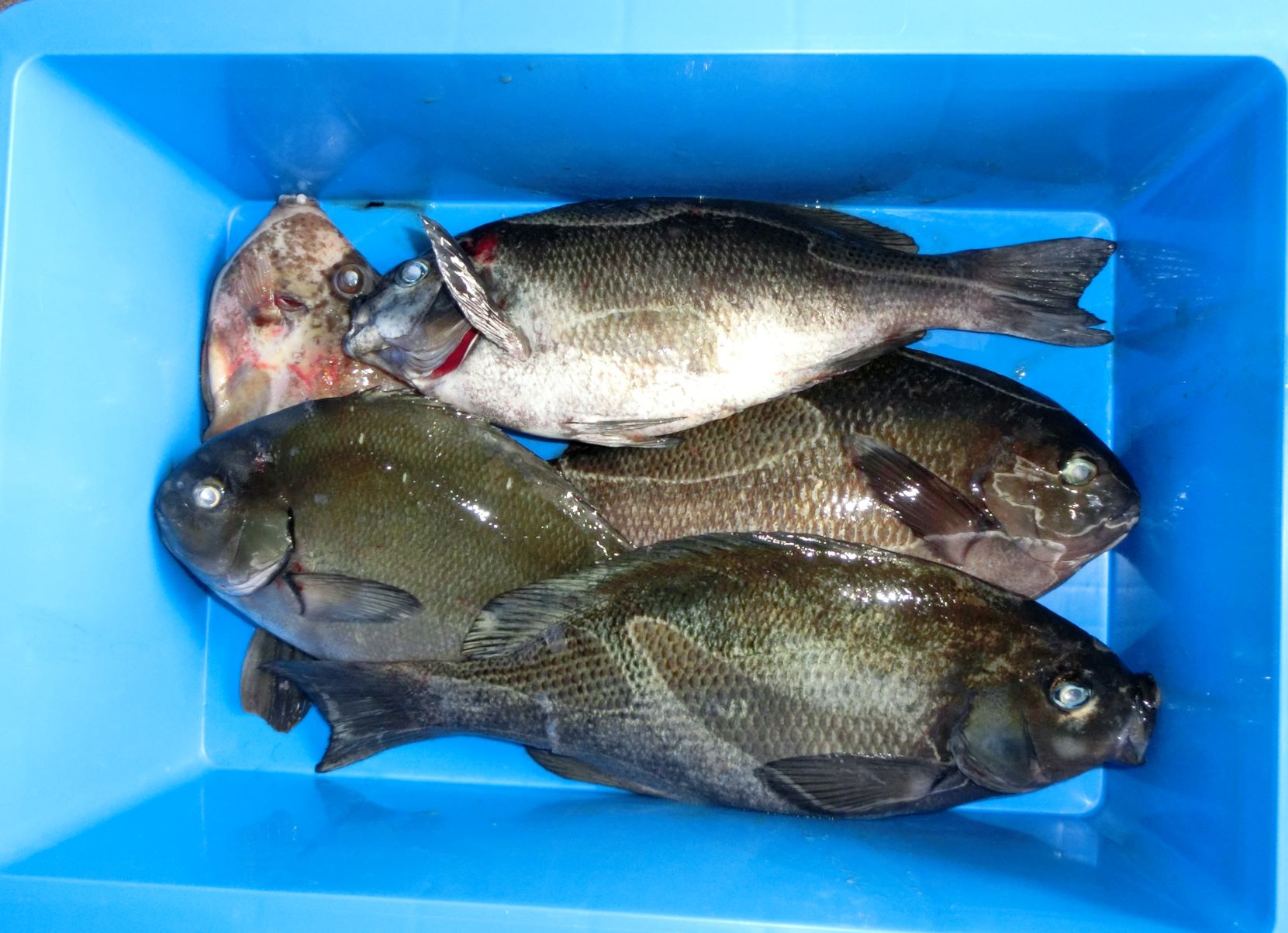
結局、この日釣り上げたクロは30cm~39cmが6匹で、最後に何とか浮かせたクロは
この日一番の大きさでしたが、うねりによる大波で玉網に入れることが出来ずにチモト切れで
お帰りいただきました、40cmは越えてたし尾長でした。
朝は会うことが出来ませんでしたが、帰りは山口からの藤井信くんのグループと一緒に
一枚パシャリです。
今回も悔しいけれど楽しい釣りができました。
深島へと向かいます。
まず、石川の健ちゃんが一人でアシナカに上がり、私とフジモンは横バエに上がりました。
先に準備のできたフジモンが真ん中あたりから遠投で釣り始め、私は遅れて左側の
裏で出来れば尾長を狙います。
夜釣りは二人して撃沈でした、早々と諦めたフジモンはお休みタイムです、でも暗いうちは
寒かったので眠れなかったのでは?
夜が明ければイサキや小型のクロが釣れだし、さあこれからという時に大量のごみが
目の前に流れ着き暫しの休憩です、夜よく眠れなかったフジモンはまたもやお休みタイムです。
私も眠かったので寝ようと思いますが、日が昇ってからは今度は暑くて寝ていられません。
ゴミはどこかに行ったり来たりで、ゴミのないときに30cm~35cmのクロが食ってきます。
潮が良くなったときは大型と思われるクロが当たってきますが、ことごとく目の前の張り出し根
に逃げられ、かれこれ10回以上は同じ場所でやられています、高切れも1回あり大事なウキを
ロストしてしまいます。
あまりの暑さにタオルを被って釣りをしています、この後この掛かった魚も同じ場所でばらしでした。
結局、この日釣り上げたクロは30cm~39cmが6匹で、最後に何とか浮かせたクロは
この日一番の大きさでしたが、うねりによる大波で玉網に入れることが出来ずにチモト切れで
お帰りいただきました、40cmは越えてたし尾長でした。
朝は会うことが出来ませんでしたが、帰りは山口からの藤井信くんのグループと一緒に
一枚パシャリです。
今回も悔しいけれど楽しい釣りができました。
PR
予定では13日〜14日に夜釣りで行くようにしていましたが、14日の天気が良くないようなので、
大分の池永さんの計らいで13日の昼釣りに行くことになりました。
池永さんは前日の最終便で場所取りを兼ねてツバクロに上がり夜釣りをしながら待っていてくれま
した。
私と福住会長と田中タカさんの3人は朝4時のゆっくり便でツバクロに向かいます。
福角会長は早速夜釣り仕掛けを組み、池永さんと並んで夜釣り開始です。
すぐ横には中の瀬とウスバエがあり、よく釣られていました、圧巻はイサキ狙いだというルアーマ
ンが掛けたブリ?でした、1mはあろうかというおおものでした。
夜が明けてからも仲良く並んで
朝のうちは良く肥えたイサキは釣れますが、際で大きなサンノジやイズスミに混じって尾長も見
え、食わせる事はできましたが捕れませんでした。
糸を出せば根に走られるので、レバーはしっかり握っていたんですが、きつめに締めていたドラグ
からジリジリではなくシャー!と出て行きなす術もありませんでした。
ちなみに、タックルは竿が1、25号、道糸とハリスはどちらも1、5号でした、すこし舐めてましたか
ね。
尾長などの際での乱舞も見られなくなった所で、ふかしま丸から弁当が届きここで弁当タイムです。
このあと潮が変わるとクチブトが釣れ出し、潮の動くところを探しながらクロを拾っていきます。
尾長にブチブチ切られたのは心残りですが、楽しい釣りになりました、池永さんに感謝です。
港に帰って記念写真です。
大分の池永さんの計らいで13日の昼釣りに行くことになりました。
池永さんは前日の最終便で場所取りを兼ねてツバクロに上がり夜釣りをしながら待っていてくれま
した。
私と福住会長と田中タカさんの3人は朝4時のゆっくり便でツバクロに向かいます。
福角会長は早速夜釣り仕掛けを組み、池永さんと並んで夜釣り開始です。
すぐ横には中の瀬とウスバエがあり、よく釣られていました、圧巻はイサキ狙いだというルアーマ
ンが掛けたブリ?でした、1mはあろうかというおおものでした。
夜が明けてからも仲良く並んで
朝のうちは良く肥えたイサキは釣れますが、際で大きなサンノジやイズスミに混じって尾長も見
え、食わせる事はできましたが捕れませんでした。
糸を出せば根に走られるので、レバーはしっかり握っていたんですが、きつめに締めていたドラグ
からジリジリではなくシャー!と出て行きなす術もありませんでした。
ちなみに、タックルは竿が1、25号、道糸とハリスはどちらも1、5号でした、すこし舐めてましたか
ね。
尾長などの際での乱舞も見られなくなった所で、ふかしま丸から弁当が届きここで弁当タイムです。
このあと潮が変わるとクチブトが釣れ出し、潮の動くところを探しながらクロを拾っていきます。
尾長にブチブチ切られたのは心残りですが、楽しい釣りになりました、池永さんに感謝です。
港に帰って記念写真です。
27日は中司君と福住会長と3人で五島に行ってきました。
午前3時出船のマリンアスリートでいざ出航です。
最初に上がったのは倉島のまんじゅうで、ま~足場の悪い事、船付けから裏に荷物を運ぶのに
クツ1個分ほどの足場しかない崖を重い荷物を持って行かなければいけません。
しかし、若い中司君が運んでくれて一安心です。
夜が明けるまで休憩をして二人は竿を伸ばして準備を済ませますが、私は釣り座も潮を被ってい
る状態なので二人の釣りを見学でもと思っていたら、マリンアスリートが来て釣りもせずに瀬替
わりとなりました。
次に向かったのはヘタ黒瀬です、ここは私が釣研FGの事業部にお世話になっていたころにあった
WFGの決勝戦が行われた場所で、少し、いいえ、かなり期待をしました。
足場のいい船着き場に福住会長が陣取り、その右の磯場に中司君が釣り座を構えます。
私はずっと左で釣ることにしました。
さすがに魚影は濃く一投一尾で釣れました、ただし足裏サイズばかりでどこに投げても
深く探っても同じサイズです。
みんな、釣れる場所を探してあっちこっち移動しますがやはり同じでした。
そうこうしているうちに、今日は朝から予定にない見廻りに来てくれて、またもや瀬替わりで
す、次に向かったのは平島に戻り今度はままこ瀬です。
足場のいい所には同船者の先客がいて、私たちはうねりの這い上がる前下がりの
釣りにくい場所でした。
暫らくすると先客は瀬替わりしていき、私はすかさず釣りやすいその場所には入ります。
ここもヘタ黒瀬と同様足裏サイズばかりですが、中間距離に撒き餌を撒いて
追い風を利用して仕掛けと撒き餌を飛ばせるだけ飛ばし、さらしに邪魔されないように気を付け
ながら流すと、やっと手ごたえのある黒の引きです。
釣ったのは37cmの尾長でした。
同じように続けると、暫くして又ヒットです、今度は39cmの口太でした。
3時になり4時の迎えのためボチボチ片付けようかと思いながらの、最後の一投で
また何やら違う魚が、帰ってから調べてみるとニセタカサゴだとか。
今回の釣りは少し疲れる釣りでしたが、三人で仲良く楽しい釣りに。
そんなわけで持ち帰りの釣果は。
この二匹だけでした。
午前3時出船のマリンアスリートでいざ出航です。
最初に上がったのは倉島のまんじゅうで、ま~足場の悪い事、船付けから裏に荷物を運ぶのに
クツ1個分ほどの足場しかない崖を重い荷物を持って行かなければいけません。
しかし、若い中司君が運んでくれて一安心です。
夜が明けるまで休憩をして二人は竿を伸ばして準備を済ませますが、私は釣り座も潮を被ってい
る状態なので二人の釣りを見学でもと思っていたら、マリンアスリートが来て釣りもせずに瀬替
わりとなりました。
次に向かったのはヘタ黒瀬です、ここは私が釣研FGの事業部にお世話になっていたころにあった
WFGの決勝戦が行われた場所で、少し、いいえ、かなり期待をしました。
足場のいい船着き場に福住会長が陣取り、その右の磯場に中司君が釣り座を構えます。
私はずっと左で釣ることにしました。
さすがに魚影は濃く一投一尾で釣れました、ただし足裏サイズばかりでどこに投げても
深く探っても同じサイズです。
みんな、釣れる場所を探してあっちこっち移動しますがやはり同じでした。
そうこうしているうちに、今日は朝から予定にない見廻りに来てくれて、またもや瀬替わりで
す、次に向かったのは平島に戻り今度はままこ瀬です。
足場のいい所には同船者の先客がいて、私たちはうねりの這い上がる前下がりの
釣りにくい場所でした。
暫らくすると先客は瀬替わりしていき、私はすかさず釣りやすいその場所には入ります。
ここもヘタ黒瀬と同様足裏サイズばかりですが、中間距離に撒き餌を撒いて
追い風を利用して仕掛けと撒き餌を飛ばせるだけ飛ばし、さらしに邪魔されないように気を付け
ながら流すと、やっと手ごたえのある黒の引きです。
釣ったのは37cmの尾長でした。
同じように続けると、暫くして又ヒットです、今度は39cmの口太でした。
3時になり4時の迎えのためボチボチ片付けようかと思いながらの、最後の一投で
また何やら違う魚が、帰ってから調べてみるとニセタカサゴだとか。
今回の釣りは少し疲れる釣りでしたが、三人で仲良く楽しい釣りに。
そんなわけで持ち帰りの釣果は。
この二匹だけでした。
今年初めてのイカ釣りです。
今回は比較的近くて、港から30分ほどの場所でした。
昨日はシーアンカーを入れての流し釣りでした、船の準備ができると早速仕掛けの準備をします。
門田師匠は準備が終わると、イカメタルでしばらく遊んでいましたが、すぐに飽きたようです。
日が沈むと遠くに漁火が付き始めます。
そして集魚ライトが点灯すると私にも待望の1杯目が釣れます。
しかし、さすがに師匠や船頭さんは、竿を2本使って忙しく動き回って釣果を重ねていきました。
私はというと、一人手釣りで手返しが悪く数を稼げませんでした。
心配した師匠が自分の分をプレゼントしてくれて、気の毒いやら嬉しいやら!
ということで私の釣果です。
このほかに沖漬けが8杯ありました。
今回は比較的近くて、港から30分ほどの場所でした。
昨日はシーアンカーを入れての流し釣りでした、船の準備ができると早速仕掛けの準備をします。
門田師匠は準備が終わると、イカメタルでしばらく遊んでいましたが、すぐに飽きたようです。
日が沈むと遠くに漁火が付き始めます。
そして集魚ライトが点灯すると私にも待望の1杯目が釣れます。
しかし、さすがに師匠や船頭さんは、竿を2本使って忙しく動き回って釣果を重ねていきました。
私はというと、一人手釣りで手返しが悪く数を稼げませんでした。
心配した師匠が自分の分をプレゼントしてくれて、気の毒いやら嬉しいやら!
ということで私の釣果です。
このほかに沖漬けが8杯ありました。
土曜日は、脂イサキを狙って深島に行ってきました。
朝1時出船で洗い場という期待の持てる磯に上げてもらいました。
先週はすごく釣れたらしく期待いっぱいでした、同礁者は先週すごく釣った藤本君です。
私は夜釣りは、浅場の波静かなワンド気味のところでやっているので、いきなり深い所はよく分
かりません、昨日は横からのうねりもあったので,手が出なかったというところです.。
夜が明けてからに期待しますが、潮が上げてくるにつれうねりも高くなり、どう釣るか迷うばかりです。
しかし、うねりが止まった時にうまく仕掛けを流せれば食ってきます。
ただ、そんな状態は続きません、さらに潮の動きの悪さが追い打ちを掛けます。
釣れないときは眠くなるので、仮眠をとったり、ふかしま丸からの弁当を美味しく頂いたり、
それでも楽しい釣りができました。
結局クロが4匹しか釣れませんでしたが、藤本君がカメの手を取ってくれたり
港に帰ってからは、熊本のヒロさんにうっイサキを全部頂いたり素晴らしい釣果に恵まれまし
た。
刺身に昆布〆、炙りに漬け、煮つけもたのしくなってきますね~。
朝1時出船で洗い場という期待の持てる磯に上げてもらいました。
先週はすごく釣れたらしく期待いっぱいでした、同礁者は先週すごく釣った藤本君です。
私は夜釣りは、浅場の波静かなワンド気味のところでやっているので、いきなり深い所はよく分
かりません、昨日は横からのうねりもあったので,手が出なかったというところです.。
夜が明けてからに期待しますが、潮が上げてくるにつれうねりも高くなり、どう釣るか迷うばかりです。
しかし、うねりが止まった時にうまく仕掛けを流せれば食ってきます。
ただ、そんな状態は続きません、さらに潮の動きの悪さが追い打ちを掛けます。
釣れないときは眠くなるので、仮眠をとったり、ふかしま丸からの弁当を美味しく頂いたり、
それでも楽しい釣りができました。
結局クロが4匹しか釣れませんでしたが、藤本君がカメの手を取ってくれたり
港に帰ってからは、熊本のヒロさんにうっイサキを全部頂いたり素晴らしい釣果に恵まれまし
た。
刺身に昆布〆、炙りに漬け、煮つけもたのしくなってきますね~。