釣れないほうが多いような釣りの話と
小さな家庭菜園のことを中心に
色々なことを紹介していきます
×
[PR]上記の広告は3ヶ月以上新規記事投稿のないブログに表示されています。新しい記事を書く事で広告が消えます。
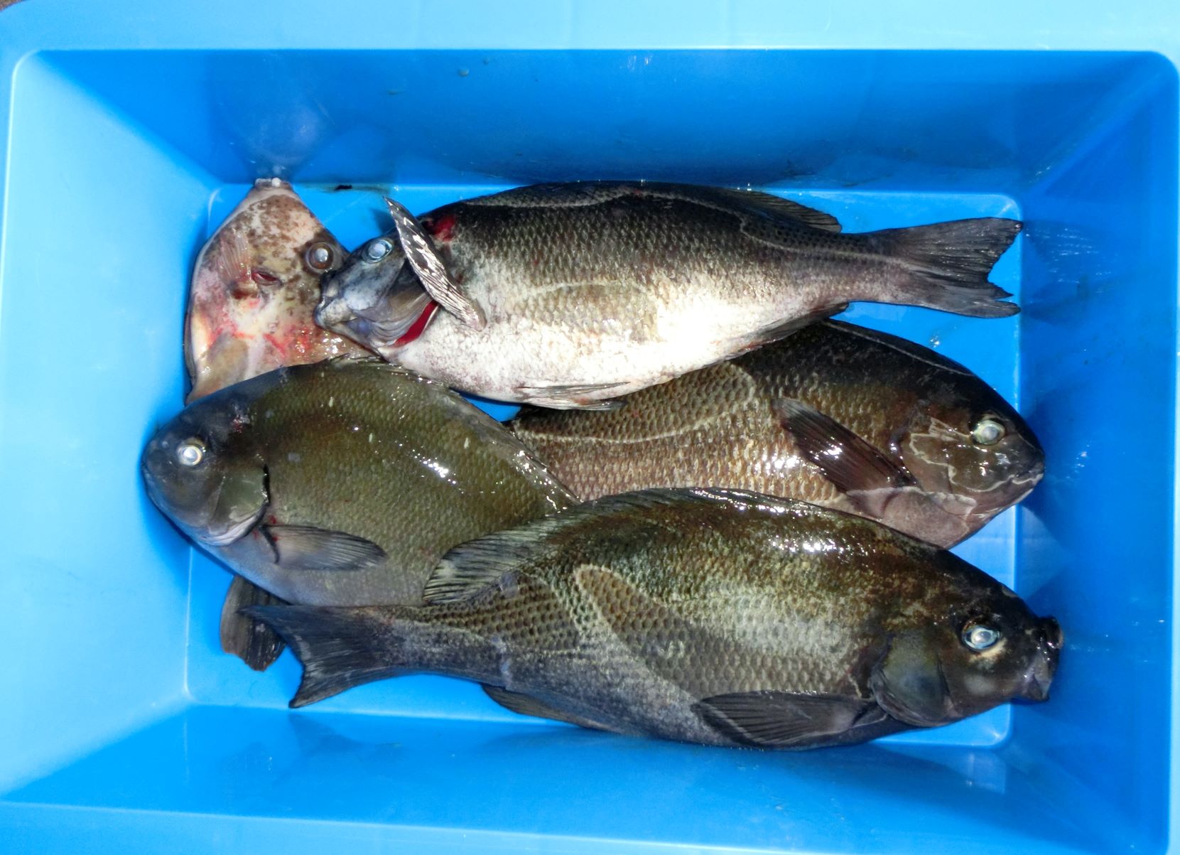
土曜日は、脂イサキを狙って深島に行ってきました。
朝1時出船で洗い場という期待の持てる磯に上げてもらいました。
先週はすごく釣れたらしく期待いっぱいでした、同礁者は先週すごく釣った藤本君です。
私は夜釣りは、浅場の波静かなワンド気味のところでやっているので、いきなり深い所はよく分
かりません、昨日は横からのうねりもあったので,手が出なかったというところです.。
夜が明けてからに期待しますが、潮が上げてくるにつれうねりも高くなり、どう釣るか迷うばかりです。
しかし、うねりが止まった時にうまく仕掛けを流せれば食ってきます。
ただ、そんな状態は続きません、さらに潮の動きの悪さが追い打ちを掛けます。
釣れないときは眠くなるので、仮眠をとったり、ふかしま丸からの弁当を美味しく頂いたり、
それでも楽しい釣りができました。
結局クロが4匹しか釣れませんでしたが、藤本君がカメの手を取ってくれたり
港に帰ってからは、熊本のヒロさんにうっイサキを全部頂いたり素晴らしい釣果に恵まれまし
た。
刺身に昆布〆、炙りに漬け、煮つけもたのしくなってきますね~。
朝1時出船で洗い場という期待の持てる磯に上げてもらいました。
先週はすごく釣れたらしく期待いっぱいでした、同礁者は先週すごく釣った藤本君です。
私は夜釣りは、浅場の波静かなワンド気味のところでやっているので、いきなり深い所はよく分
かりません、昨日は横からのうねりもあったので,手が出なかったというところです.。
夜が明けてからに期待しますが、潮が上げてくるにつれうねりも高くなり、どう釣るか迷うばかりです。
しかし、うねりが止まった時にうまく仕掛けを流せれば食ってきます。
ただ、そんな状態は続きません、さらに潮の動きの悪さが追い打ちを掛けます。
釣れないときは眠くなるので、仮眠をとったり、ふかしま丸からの弁当を美味しく頂いたり、
それでも楽しい釣りができました。
結局クロが4匹しか釣れませんでしたが、藤本君がカメの手を取ってくれたり
港に帰ってからは、熊本のヒロさんにうっイサキを全部頂いたり素晴らしい釣果に恵まれまし
た。
刺身に昆布〆、炙りに漬け、煮つけもたのしくなってきますね~。
PR
昨日は約3か月ぶりに米水津に行ってきました。
最初に上がったのは押手のロープです。
ここでは1時間ほどエギを振りましたが反応なし、1時間ほどクロ狙いで竿を振りますが
イスズミに遊ばれて、7時の見廻りで、お目当ての沖黒に瀬替わりです。
上がったのは、空いていれば必ず上がるケイサツバエです。
ワクワクして早速釣り始めますが、うーんなんか違う、何の反応もありません。
普段はあまりやらない仕掛けの変更をこの日は頻繁にやりました。
10時を過ぎたころに功明丸の勇治船長から、瀬替わりを聞かれましたがこの場所で粘ると伝え
もうひと頑張りです。
それでも状況は変わらず潮の方向が変わったところで、仕掛けが潮に引かれるようになり
止めたり緩めたりをしながら流していると、やっとこの日初めてのアタリです。
しかし、この辺りは底根が荒いので根に潜られてチモト切れで悔しいばらしでした。
あまり変わらない状況の中、時々現れるいい流れの時に止めたり緩めたりの釣りをしていると
又してもアタリがあり30cmほどの尾長ですが嬉しい一匹になりました。
この後も何度かアタリはありましたが、根に入られてばらしてばかりでした。
久しぶりの磯での釣りでしたが、何とも悔しい釣り(いつもですが)になりました。
しかし、良いこともありました、5月後半から胃が悪くてきつかったんですが、
この釣りが決まってから胃の調子が良くなりました、やはりストレスだったんでしょうかねぇ。
最初に上がったのは押手のロープです。
ここでは1時間ほどエギを振りましたが反応なし、1時間ほどクロ狙いで竿を振りますが
イスズミに遊ばれて、7時の見廻りで、お目当ての沖黒に瀬替わりです。
上がったのは、空いていれば必ず上がるケイサツバエです。
ワクワクして早速釣り始めますが、うーんなんか違う、何の反応もありません。
普段はあまりやらない仕掛けの変更をこの日は頻繁にやりました。
10時を過ぎたころに功明丸の勇治船長から、瀬替わりを聞かれましたがこの場所で粘ると伝え
もうひと頑張りです。
それでも状況は変わらず潮の方向が変わったところで、仕掛けが潮に引かれるようになり
止めたり緩めたりをしながら流していると、やっとこの日初めてのアタリです。
しかし、この辺りは底根が荒いので根に潜られてチモト切れで悔しいばらしでした。
あまり変わらない状況の中、時々現れるいい流れの時に止めたり緩めたりの釣りをしていると
又してもアタリがあり30cmほどの尾長ですが嬉しい一匹になりました。
この後も何度かアタリはありましたが、根に入られてばらしてばかりでした。
久しぶりの磯での釣りでしたが、何とも悔しい釣り(いつもですが)になりました。
しかし、良いこともありました、5月後半から胃が悪くてきつかったんですが、
この釣りが決まってから胃の調子が良くなりました、やはりストレスだったんでしょうかねぇ。
松バエから早々に逃げ出し次に上がった瀬は沖の地蔵です。
ここには福住会長とフジモンが上がっていました、4人でもやれるからと呼んでもらったのでお邪魔
しました。
仕掛けを作り替えての一投目、来ました口太が
今日はいけるかも、そうはならないのがこの時期です。
仕掛けを打っても打っても冷たくなった付けエサが戻ってくるばかりです。
そうしているうちにみどりんにアタリがあり、高級魚のアカハタを釣り上げました、
それからのミドリンは根魚ハンターになり美味しい魚を掛けまくりです。
2時過ぎくらいからしぶとく流していると、ラインが指を弾くアタリがありますが、
チモトから切れたり、何かに擦れたのか道糸から高切れしたりと取り込むことが出来ませんでし
た。
その後は福住会長やフジモンが釣果を伸ばし、私には2匹目は来ませんでした。
みんなの釣果は
福住会長

フジモンとみどりん
私
厳しかったけど楽しい仲間と一緒に釣りができて楽しい一日を過ごすことが出来ました。
ここには福住会長とフジモンが上がっていました、4人でもやれるからと呼んでもらったのでお邪魔
しました。
仕掛けを作り替えての一投目、来ました口太が
今日はいけるかも、そうはならないのがこの時期です。
仕掛けを打っても打っても冷たくなった付けエサが戻ってくるばかりです。
そうしているうちにみどりんにアタリがあり、高級魚のアカハタを釣り上げました、
それからのミドリンは根魚ハンターになり美味しい魚を掛けまくりです。
2時過ぎくらいからしぶとく流していると、ラインが指を弾くアタリがありますが、
チモトから切れたり、何かに擦れたのか道糸から高切れしたりと取り込むことが出来ませんでし
た。
その後は福住会長やフジモンが釣果を伸ばし、私には2匹目は来ませんでした。
みんなの釣果は
福住会長
フジモンとみどりん
私
厳しかったけど楽しい仲間と一緒に釣りができて楽しい一日を過ごすことが出来ました。
朝5時に受付をはじめ、私は50番で功明丸で最後の瀬上がりでした。
前日から雨が降ったり止んだりの天気で、気温も低く寒い一日でしたが釣り客は多く、
空いている磯を探しながらの瀬上がりでした、結局私の組は大きく戻って湾口の
チヌバエという瀬でした。
まずは寒さで凍えた手を温めるべく、冬恒例のコーヒーで暖を取ります。
体も温まり仕掛けも出来たところで釣りを始めますが、う~ん。
繰り返し仕掛けを流しますが、うーん なんかおかしい。
ウキが見えなくなり仕掛けを回収しようとリールを巻くと、なんか重い、動いとる
魚やないかい、でもクロとは違う。
赤ブーでした。
この後アラカブを3匹釣ってこの日の釣りはおしまいでした。
この日一緒に上がったのはこの方です。